Ο τυφώνας Melissa σφυροκοπά την Τζαμάικα: 7 νεκροί και ένας αγνοούμενος – Συγκλονιστικές εικόνες

Συνεχίζει το σφυροκόπημά του στην Τζαμάικα ο τυφώνας Melissa, με τον μέχρι στιγμής απολογισμό, να κάνει λόγο για 7 νεκρούς στο πέρασμά του.
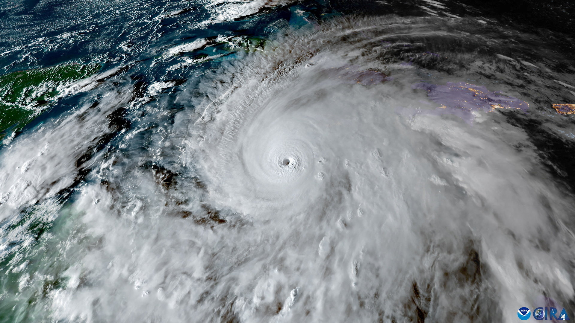
Ο τυφώνας Melissa βρίσκεται πάνω από τη δυτική Τζαμάικα, δύο ώρες μετά την επίσημη είσοδό του στη στεριά ως επικίνδυνος τυφώνας Κατηγορίας 5, ενώ λίγο αργότερα έγινε κατηγορίας 4. Ήδη υπάρχουν αναφορές για πλημμυρισμένους δρόμους και γέφυρες, καθώς και για εκτεταμένες διακοπές διαδικτύου στο νησί.
Νωρίτερα, ο πρωθυπουργός Άντριου Χόλνες δήλωσε στο CNN ότι η καταιγίδα θα προκαλέσει «καταστροφικές ζημιές». Η Τζαμάικα δεν έχει δεχτεί ποτέ ξανά χτύπημα από τυφώνα Κατηγορίας 5, ενώ ένας οργανισμός του ΟΗΕ χαρακτήρισε τη Μελίσσα ως «την καταιγίδα του αιώνα».
Η Melissa έχει ήδη προκαλέσει τον θάνατο επτά ανθρώπων – τρεις στην Τζαμάικα κατά τη διάρκεια των προετοιμασιών για την καταιγίδα, τρεις στην Αϊτή και έναν στη Δομινικανή Δημοκρατία.

Θα πάρει μέρες ή και εβδομάδες για να αποτυπωθεί το μέγεθος της καταστροφής
Η πλήρης εκτίμηση των ζημιών που προκάλεσε ο τυφώνας Μελίσσα στην Τζαμάικα ενδέχεται να διαρκέσει μέρες ή και εβδομάδες, σύμφωνα με τον διευθυντή του Εθνικού Κέντρου Τυφώνων των ΗΠΑ.
«Μπορεί να χρειαστούν ημέρες ή εβδομάδες για να καταγράψουμε πλήρως το μέγεθος όσων συμβαίνουν εδώ και όσων θα συμβούν μέσα στις επόμενες ώρες», δήλωσε ο Μάικλ Μπρέναν στο CNN.
Όπως εξήγησε, η διακοπή των συστημάτων επικοινωνίας και τα συντρίμμια έχουν απομονώσει πολλές κοινότητες.
Tiburones en la Piscina del Resort en Jamaica tras el paso del Huracán Melissa de categoría 5.
Se han registrado vientos de más de 280 km/h, lluvias torrenciales y marejadas ciclónicas que ya provocaron graves inundaciones. La ONU la califica como la “tormenta del siglo” para… pic.twitter.com/RqNqjPxzTf
— EORWELLIANO (@elorwelliano) October 28, 2025
Ο τυφώνας Melissa έπληξε την Τζαμάικα ως τυφώνας Κατηγορίας 5, με ανέμους που έφταναν τα 185 μίλια την ώρα (περίπου 295 χιλιόμετρα την ώρα) — ο ισχυρότερος τυφώνας που έχει καταγραφεί ποτέ στη χώρα. Αυτή τη στιγμή κινείται πάνω από την Τζαμάικα, προκαλώντας καταστροφικούς ανέμους, έντονες βροχοπτώσεις και επικίνδυνα κύματα.


Así se ve el devastador huracán #Melissa
‘Melissa’ tocó tierra en el suroeste de Jamaica como un poderoso huracán de categoría 5, que de acuerdo con la agencia meteorológica de la ONU, es considerado la “tormenta del siglo”, pues afectará a 1,5 millones de jamaicanos y ya… pic.twitter.com/0xHs2vPGDf
— Político MX (@politicomx) October 28, 2025
Ένας οργανισμός του ΟΗΕ χαρακτήρισε τη Melissa «την καταιγίδα του αιώνα». Πριν φτάσει στη στεριά, ο πρωθυπουργός Άντριου Χόλνες είχε προειδοποιήσει ότι η καταιγίδα θα προκαλέσει «καταστροφικές ζημιές».
Αν και οι υποδομές στις αστικές περιοχές της Τζαμάικα, όπως το Κίνγκστον, έχουν βελτιωθεί τα τελευταία χρόνια, οι αγροτικές και άτυπες κοινότητες παραμένουν ιδιαίτερα ευάλωτες, δήλωσε ο κλιματολόγος Μάικλ Τέιλορ στο CNN. Ένας αξιωματούχος πρόσθεσε ότι το ηλεκτρικό δίκτυο της χώρας ήταν ήδη επιβαρυμένο πριν το πέρασμα του τυφώνα.
Ο τυφώνας Melissa εξακολουθεί να βρισκόταν στην ισχύ Κατηγορίας 5, όμως αργά το βράδυ της Τρίτης 28.10.2025, έγινε Κατηγορίας 4.
Thinking of everyone in Jamaica. Please stay safe and help each other in the aftermath pic.twitter.com/IElLm8jVE7
— Oceans Chil10 (@OceansChil10) October 28, 2025
Σύμφωνα με το Εθνικό Κέντρο Τυφώνων των ΗΠΑ, έως τις 3 μ.μ. ώρα Ανατολικής Ακτής, η Μελίσσα καταγράφει σταθερούς ανέμους ταχύτητας 160 μιλίων την ώρα (περίπου 257 χιλιομέτρων).
Παρά τη μικρή μείωση της ταχύτητας των ανέμων κατά 5 μίλια την τελευταία ώρα, ο τυφώνας παραμένει ένας εξαιρετικά ισχυρός και επικίνδυνος τυφώνας. Στην πιο πρόσφατη ενημέρωσή του, το Κέντρο Τυφώνων προειδοποίησε σοβαρά τους κατοίκους της Τζαμάικα να μην χαλαρώσουν την προσοχή τους.
Το «μάτι» του τυφώνα είναι στην πραγματικότητα μια περιοχή σχετικά ήρεμου καιρού. Αυτό μπορεί να οδηγήσει τους ανθρώπους να πιστέψουν λανθασμένα ότι ο κίνδυνος έχει περάσει, ενώ στην πραγματικότητα το πιο επικίνδυνο μέρος της καταιγίδας ακολουθεί.
Υπάρχουν εκτεταμένες αναφορές για διακοπές διαδικτύου σε όλη την Τζαμάικα, καθώς ο τυφώνας Μελίσσα πλησίαζε το νησί νωρίτερα σήμερα, σύμφωνα με τον οργανισμό παρακολούθησης του διαδικτύου NetBlocks. Οι διακοπές σημειώθηκαν καθώς οι ισχυροί άνεμοι κατέστρεψαν τα καλώδια ηλεκτροδότησης.
Jamaica getting hit with a category 5 hurricane and they filming like it’s nothing pic.twitter.com/zOuiRRqN6D
— Red (@RedLi8ning11) October 28, 2025
Παράλληλα, αναφέρονται ζημιές και σε άλλες υποδομές σε ολόκληρη την Τζαμάικα.
Flooding happening in Santa Cruz, Jamaica pic.twitter.com/F5HKVrtIem
— Faytuks Network (@FaytuksNetwork) October 28, 2025
Πολλές γέφυρες και δρόμοι σε όλη τη χώρα έχουν πλημμυρίσει, συμπεριλαμβανομένων βασικών οδικών αρτηριών που οδηγούν σε απομακρυσμένες περιοχές, σύμφωνα με την Εθνική Υπηρεσία Δημοσίων Έργων της Τζαμάικα, η οποία δημοσίευσε σχετικές ενημερώσεις στα μέσα κοινωνικής δικτύωσης.
Current visuals from the Santa Cruz Police Station, Jamaica. (Hurricane Melissa) pic.twitter.com/DWBVHNY2XO
— Weather Monitor (@WeatherMonitors) October 28, 2025
Imágenes del impacto del huracán Melissa, de categoría 5, en Jamaica. pic.twitter.com/7FfijVYtg5
— Global News ESP (@GlobalNewsESP) October 28, 2025
Ακόμη ένας κίνδυνος: Οι κροκόδειλοι
Οι αρχές της Τζαμάικα προειδοποιούν τους κατοίκους για έναν ακόμη κίνδυνο εν μέσω των επικίνδυνων καιρικών συνθηκών που προκαλεί ο τυφώνας Melissa: τους κροκόδειλους.
Οι ισχυρές βροχοπτώσεις και οι πλημμύρες που συνοδεύουν την καταιγίδα «ενδέχεται να οδηγήσουν σε μετακίνηση κροκοδείλων από τους φυσικούς τους βιότοπους», ανέφερε σε ανακοίνωσή της η Περιφερειακή Υγειονομική Αρχή Νοτιοανατολικής Τζαμάικα, που υπάγεται στο Υπουργείο Υγείας της χώρας.
Tiburones en la Piscina del Resort en Jamaica tras el paso del Huracán Melissa de categoría 5.
Se han registrado vientos de más de 280 km/h, lluvias torrenciales y marejadas ciclónicas que ya provocaron graves inundaciones. La ONU la califica como la “tormenta del siglo” para… pic.twitter.com/RqNqjPxzTf
— EL ORWELLIANO (@elorwelliano) October 28, 2025
Εκκενώσεις και στην Κούβα
Περίπου 168.900 άνθρωποι έχουν απομακρυνθεί από την επαρχία Σαντιάγο ντε Κούβα, τη δεύτερη πιο πυκνοκατοικημένη περιοχή της χώρας, καθώς ο τυφώνας Melissa πλησιάζει.
Οι αρχές δίνουν προτεραιότητα στις περιοχές υψηλού κινδύνου της επαρχίας, όπως οι παράκτιες και ορεινές κοινότητες, οι οικισμοί κοντά σε ποτάμια και οι περιοχές που βρίσκονται κάτω από φράγματα, δήλωσε η Μπεατρίς Τζόνσον Ουρρούτια, Πρώτη Γραμματέας της Επαρχιακής Επιτροπής του Κόμματος.
Η Σαντιάγο ντε Κούβα, μία από τις πέντε επαρχίες της χώρας που βρίσκονται σε προειδοποίηση για τυφώνα, αναμένεται να βιώσει τις χειρότερες συνθήκες από το βράδυ της Τρίτης έως το πρωί της Τετάρτης, με ριπές ανέμου που θα φτάνουν τα 160 έως 190 χιλιόμετρα την ώρα.
Το υπουργείο Ενέργειας της Κούβας ανακοίνωσε ότι θα αποσυνδέσει τρεις θερμικές μονάδες παραγωγής ηλεκτρικής ενέργειας στα ανατολικά της χώρας, όπου αναμένεται να χτυπήσει η καταιγίδα.
Οι ζημιές και οι ισχυρές βροχοπτώσεις από τη Μελίσσα αναμένεται να επιδεινώσουν περαιτέρω τα ήδη σοβαρά προβλήματα της Κούβας, όπως οι ελλείψεις ηλεκτρικού ρεύματος, η οικονομική αστάθεια και η επιδημία δάγκειου πυρετού, που μεταδίδεται από κουνούπια.
To άρθρο Ο τυφώνας Melissa σφυροκοπά την Τζαμάικα: 7 νεκροί και ένας αγνοούμενος – Συγκλονιστικές εικόνες δημοσιεύτηκε στο NewsIT .



